Először hétfőn, helyi idő szerint délután rázta meg egy 6.1-es erősségű rengés Luzon szigetét, majd…
Fülöp-szigetek
Önostorozás, keresztre feszítés – véres Húsvét a Fülöp-szigeteken (videóval)
A hivatalos egyház ellenzi, de ez a híveket láthatóan nem érdekli - ismét tucatnyian feszítették…
Kitakarították – Újra fogadja a turistákat a világ egyik legszebb szigete
A nagyszabású takarítás még nem fejeződött be, de már tesztelhette néhány szerencsés ember a Boracay-t.
Emberek tucatjait temette el élve a földcsuszamlás
Hatalmas földcsuszamlásokat okozott a Fülöp-szigeteken a Mangkhut tájfun. Az egyik bányászvárosban, Itogonban több mint 30-an…
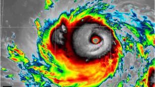
A világ legerősebb tájfunja csapott le a Fülöp-szigetekre – videó
Óránként 330 kilométeres szélvihar söpört végig a szigetországon, ahol az első jelentések szerint két nő…
Megkezdték az evakuálást a Fülöp-szigetek felé közeledő szupertájfun miatt
10 millió embert és a teljes mezőgazdasági szektort érintheti a Mangkhut, ami pont az aratás…
Saját irodájában lőtték le a cebui polgármestert
A népszerű turistacélpont első embere már a harmadik Fülöp-szigeteki polgármester 3 hónap alatt, akit meggyilkolnak.
4,5 millió euró értékű luxusautót zúzatott be a Fülöp-szigetek elnöke
A drogok ellen indított háború után a korrupciót vette célba az elnök. Az országba illegálisan…
Lelőttek egy populista polgármestert a Fülöp-szigeteken
A szégyen menetét találta ki a kábítószer-kereskedelem elleni harcban Antonio Halili, akit egy mesterlövész meggyilkolt…
Kacagj, katona! Nevető jóga sérült hadfiaknak a Fülöp-szigeteken – videó
A nevető jóga már évszázadok óta létezik Ázsiában, de a Fülöp-szigeteken speciális célra használják: olyan…



